城市给水排水工程
乌兰察布市察右前旗新区污水处理工程
本项目主要收集处理平地泉新区的生活污水。
设计内容包括新建1座污水处理厂和58公里取水管线,污水处理工艺采用A2/O+纤维转盘滤池,设计规模为3.0万m³/d,出水水质达到国家一级A标准。
二连浩特新建三水厂及输、配水管线工程
该项目位于二连浩特市城区南侧(广电局二连浩特发射台北侧)。
新建三水厂供水能力近期(2020年)1.0万m³/d,远期(2030年)3.0万m³/d。
和林格尔县前夭子水库净水厂(一期)工程
本项目的建设主要用于满足北方电力和林发电厂工业用水要求,新建地表水净水厂一座,工程建设总规模3.0万m³/d,一期建设规模1.5万m³/d。
取水水源为前夭子水库水,净水工艺采用管式静态混合+高效除砂絮核塔+筛板反应池+水平管沉淀池,出水水质满足电厂工业用水要求,即浊度小于5NTU。
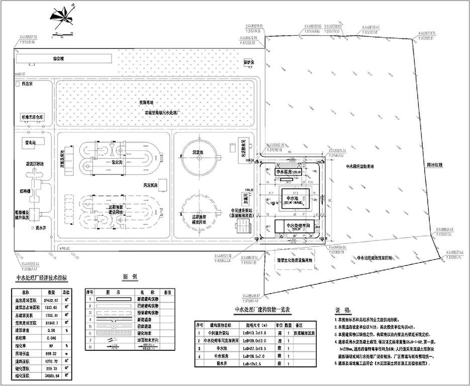
二连浩特中水处理厂
中水处理构筑物及附属建筑构筑物:规模近期为1.5万m³/d,远期为3.0万m³/d。
本期工程按1.5万m³/d规模建设中水处理单元及其附属工程,其设计产水量为1.25万m³/d。采用“两级曝气生物滤池-混凝-沉淀-过滤-消毒”工艺。
乌兰察布市察右前旗平地泉新区给水工程
建议规模:本期1.0万m³/d,远期3.0万m³/d。主要内容:新建配水厂1座,包含生产厂房(含二级泵房、变配电室、二氧化氯制备及储存间和值班控制室)1座、清水池2座。
兴安盟科右中旗巴彦呼舒镇污水处理厂扩建及配套管网工程
本项目主要收集处理巴彦呼舒镇的生活污水。
主要为扩建污水处理厂规模1万m³/d,使污水处理厂总规模达到2万m³/d,并在后续增加深度处理工艺,配套建设45.741公里污水管线。
污水处理工艺采用A2/O+曝气生物滤池+纤维转盘滤池工艺。
察右前旗土贵乌拉镇污水处理厂中水回用工程
本项目主要收集处理土贵乌拉镇的生活污水。
处理规模0.9万m³/d,在原有A2/O工艺处理厂的基础上,增建曝气生物过滤池和纤维转盘过滤工序,配套建设22.0公里中水回用管线。
凉城县岱海镇污水处理厂中水回用工程
本项目的建设主要用于提标改造现状污水处理厂出水水质,使其达到回用水要求。
在污水处理厂现有构筑物基础上增加深度处理工艺,并配套建设镇区中水管网19公里,工程建设规模0.9万m³/d,
深度处理工艺采用管式静态混合+机械反应+斜管沉淀+纤维转盘过滤。



返回首页
咨询建议
联系我们